Тесты онлайн, бесплатный конструктор тестов. Психологические тестирования, тесты на проверку знаний.
Список вопросов базы знанийАдминистрирование Windows Server 2008Вопрос id:87316 Тема/шкала: Active Directory Domain Services Укажите команду командной строки Windows, которая запускает мастер установки служб Active Directory Domain Services в Microsoft Windows Server 2008R2? ?) dcpromo ?) servermanagercmd ?) wbadmin ?) bcdedit ?) appcmd Вопрос id:87317 Тема/шкала: Виртуализация Hyper-V Какой тип сетевых адаптеров (в свойствах виртуальной машины) существуют в виртуальной машине Hyper-V? ?) Беспроводной сетевой адаптер ?) Среди перечисленного нет верного ответа ?) Высокопроизводительный сетевой адаптер ?) Волоконно-оптический адаптер ?) Сетевой адаптер Вопрос id:87318 Тема/шкала: Общие вопросы администрирования платформы Вам необходимо управлять сервером Windows Server 2008 с клиентского компьютера так, как будто он находится перед Вашими глазами. Какое средство следует использовать для реализации этой задачи? ?) Средство настройки системы ?) Это сделать невозможно, нужно идти в серверную ?) Средства удаленного рабочего стола ?) Удаленный помощник ?) Средства удаленного администрирования сервера Вопрос id:87319 Тема/шкала: Общие вопросы администрирования платформы Какое действие предшествовало тому, что изображено на рисунке?
![]() ?) Установка RAID-0 контроллера ?) Форматирование 3х дисков ?) Установка ОС ?) Установка RAID-5 контроллера ?) Установка 3х жестких дисков Вопрос id:87320 Тема/шкала: Реализация дополнительных сетевых сервисов Какая команда командной строки используется для получения списка ролей в Microsoft Windows Server Core? ?) serverweroptin ?) ocsetup ?) show roles ?) wmic ?) oclist Вопрос id:87321 Тема/шкала: Виртуализация Hyper-V В каком типе сети Hyper-V предоставляется доступ к физическому сетевому адаптеру узла? ?) Внутренний ?) Открытый ?) Общий ?) Частный ?) Внешний Вопрос id:87322 Тема/шкала: Реализация основных сетевых сервисов Как называется служба, которую позволяет реплицировать данные между файловыми серверами под управлением в Windows Server 2008R2? ?) FRS ?) DFS-R ?) RDC ?) ADFS ?) FSRM Вопрос id:87323 Тема/шкала: Общие вопросы администрирования платформы Что из предложенного ниже используется для анализа проблем в операционной системе? ?) Сетевой журнал ?) Монитор событий ?) Журнал событий ?) Монитор надежности и стабильности ?) Журнал AD Вопрос id:87324 Тема/шкала: Active Directory Domain Services Вы настраиваете сервер печати. Что необходимо сделать, чтобы принтеры были опубликованы в AD? ?) Вычесть ?) Запрограммировать ?) Перечислить ?) Удалить ?) Вычислить Вопрос id:87325 Тема/шкала: Active Directory Domain Services Как называется объект Active Directory, который хранит информацию об учетных записях, общих ресурсах, подразделениях? ?) Каталог ?) Хозяин папки ?) Сетевой доступ ?) Домен ?) Папка Вопрос id:87326 Тема/шкала: Виртуализация Hyper-V Укажите максимально возможный размер файла VHD, с которым может работать гипервизор Microsoft Hyper-V? ?) 2 TB ?) 1 TB ?) 1 GB ?) 4 TB ?) 100 GB Вопрос id:87327 Тема/шкала: Общие вопросы администрирования платформы Инструмент для автоматизации, состоящий из cmdlets, называется: ?) командная строка ?) PowerPivot ?) PowerShell ?) SharePoint ?) SharePort Вопрос id:87328 Тема/шкала: Active Directory Domain Services При помощи какой команды можно понизить роль контроллера домена? ?) dsadd ?) dsmod ?) killdc ?) tskill ?) dcpromo Вопрос id:87329 Тема/шкала: Общие вопросы администрирования платформы Вы соединяетесь с терминальным сервером. Руководствуясь рисунком ниже, определите, что будет запущено при подключении к серверу? ![]() ?) Калькулятор ?) Ничего. Настройка неправильна. ?) Чистый рабочий стол ?) Проводник ?) Будет открыта папка Temp Вопрос id:87330 Тема/шкала: Реализация дополнительных сетевых сервисов Какая из перечисленных утилит предназначена для изменения основной установки и для приготовления последней для захвата и последующего развертывания? ?) WinRE ?) Sysprep ?) Windows SIM ?) WinPE ?) ImageX Вопрос id:87331 Тема/шкала: Реализация основных сетевых сервисов Укажите типы отказоустойчивых кластеров, реализованных в Windows Server 2008: ?) DNS ?) NLB ?) DFS ?) Fail-Recovery ?) Failover Вопрос id:87332 Тема/шкала: Active Directory Domain Services Есть два контроллера домена в режимах master и slave. Они разделены межсетевым экраном. Какие порты нужно открыть на межсетевом экране, чтобы между контроллерами Active Directory проводилась репликация? ?) TCP/UDP: 135, 22, 25, 110,389, 3389, 80, 8080 ?) Достаточно TCP 3389 ?) Все порты (отключить файервол) ?) TCP/UDP 135, TCP 139, UDP 138, TCP/UDP 389, TCP/UDP 445, TCP 3268,3269, TCP/UDP 53. ?) TCP 135, 139, 88, 389, 445, 446, 53. Вопрос id:87333 Тема/шкала: Общие вопросы администрирования платформы Для чего предназначен данный инструмент? ![]() ?) Предоставляет рекомендации по настройке службы/сервера ?) Не знаю, у меня в сервере такого нет ?) Позволяет отсканировать компьютер на наличие вирусов ?) Предоставляет возможность пошаговой настройки сервера Active Directory ?) Предоставляет отчет о системе безопасности компьютера Вопрос id:87334 Тема/шкала: Общие вопросы администрирования платформы Вам необходимо выполнять архивацию файлов и папок на файловом сервере. Каким группам "по-умолчанию" будет предоставлено данное право? ?) Опытные пользователи ?) Операторы сервера ?) Репликатор ?) Администраторы ?) Операторы архива Вопрос id:87335 Тема/шкала: Active Directory Domain Services Вы создаете домен Active Directory. Какие объекты AD будут доступны по-умолчанию? (выберите несколько вариантов ответов) ?) Сервер ?) Пользователь ?) Компьютер ?) Работник ?) Устройство Вопрос id:87336 Тема/шкала: Общие вопросы администрирования платформы Какая из указанных команд позволяет управлять планировщиком заданий из командной строки? ?) taskschedule ?) taskschd ?) Нет правильного ответа ?) schtasks ?) where system scheduler Вопрос id:87337 Тема/шкала: Реализация дополнительных сетевых сервисов Вашей компании необходим внутренний сайт. При использовании какой базовой роли Windows Server, Вы будете его строить? ?) Apache ?) DHTML ?) Microsoft IIS ?) Microsoft Share Point Portal ?) HTML Вопрос id:87338 Тема/шкала: Виртуализация Hyper-V У Вас есть несколько машин на Hyper-V. Вам необходимо изолировать все виртуальные машины друг от друга. Что Вам необходимо установить? ?) Разные VLAN ?) Определить задержку в подсети ?) Запретить неразборчивый режим ?) Установить режим прозрачного прокси ?) Назначить маркер в сети Вопрос id:87339 Тема/шкала: Общие вопросы администрирования платформы Вам необходимо передать часть административных полномочий некому пользователю на некоторый объект. Это процесс называется: ?) перенаправление ?) назначение ?) принуждение ?) делегирование ?) отягощение Вопрос id:87340 Тема/шкала: Реализация дополнительных сетевых сервисов Вам необходимо вести потоковую передачу аудио и видео по локальной сети. Какой компонент сервера необходимо для выполнения этой задачи? ?) Службы Media Player ?) Службы потокового мультимедиа ?) Службы удаленного телевизора ?) Службы IPTV и VoIP ?) Windows Media Player Вопрос id:87341 Тема/шкала: Реализация основных сетевых сервисов Какие виды хранилищ резервных копий поддерживает "Система архивации данных Windows Server 2008R2" при архивировании по расписанию? ?) Специализированный жесткий диск для архивов, выделенный логический том на физическом диске, общая сетевая папка ?) Специлаизированный жесткий диск для архивов, общая сетевая папка, FTP-хранилище, внешние съемные носители (CD/DVD/и т.д.) ?) Специализированный жесткий диск для архивов, выделенный логический том на физическом диске, общая сетевая папка, внешние съемные носители (CD/DVD/ и т.д.) ?) Специализированный жесткий диск для архивов, выделенный логический том на физическом диске, общая сетевая папка, внешние съемные носители (CD/DVD/и т.д.), FTP-хранилища. ?) Внешние съемные носители (CD/DVD/ и др.), FTP-хранилища, Общая сетевая папка. Вопрос id:87342 Тема/шкала: Active Directory Domain Services Какой протокол используется для доступа к службе каталогов AD? ?) UDP ?) LDAP ?) X.400 ?) ShareDiscovery ?) ADSL Вопрос id:87343 Тема/шкала: Реализация дополнительных сетевых сервисов Укажите правильный UNC-путь к ресурсу Office на сервере SRV: ?) \SRV.Office\UNC ?) //SRV/Office ?) \SRV\Office ?) ./SRV/Office ?) http://SRV/Office Вопрос id:87344 Тема/шкала: Общие вопросы администрирования платформы Как узнать: работает ли удаленный сервер под управлением Microsoft Windows Server 2008R2 с установленным почтовым сервером, если ответы на IСMP-запросы - отключены, а удаленный доступ по RDP - невозможен? ?) telnet server ?) telnet server 25 ?) ping server ?) tracert server ?) nslookup server Вопрос id:87345 Тема/шкала: Реализация основных сетевых сервисов Команда repadmin предназначена для: ?) включения административных прав ?) повторения административных действий ?) синхронизации пароля администратора ?) управления репликации ?) синхронизации системного времени Вопрос id:87346 Тема/шкала: Реализация основных сетевых сервисов Из предложенных вариантов укажите команду, которая очищает кэш DNS-сервера? ?) Ipconfig /flushdns ?) dnscmd.exe /ageallrecords ?) netsh int ip reset ?) Ipconfig /registerdns ?) dnscmd.exe /clearcache Вопрос id:87347 Тема/шкала: Active Directory Domain Services Вам необходимо выполнить некоторые действия при выходе пользователя из системы. При этом все это должно происходить автоматически. В какой консоли (оснастке) необходимо выполнить эту настройку? ?) Управление дисками ?) Управление пользователями ?) Управление компьютером ?) Групповая политика ?) Настройка компьютера Вопрос id:87348 Тема/шкала: Общие вопросы администрирования платформы Какая команда отобразит информацию, представленную на рисунке?
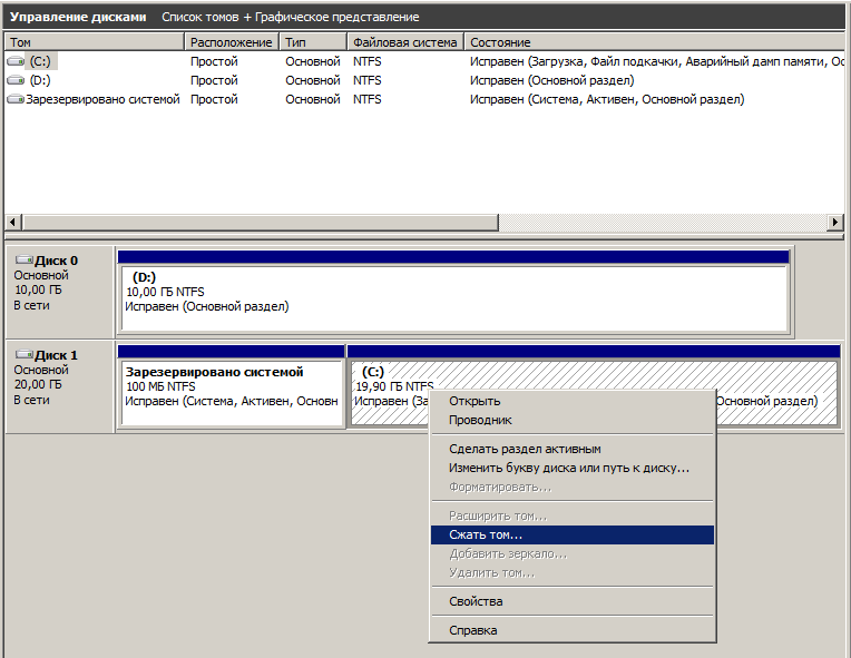
![]() ?) ping ?) nbtstat ?) nslookup ?) netstat ?) roure Вопрос id:87349 Тема/шкала: Общие вопросы администрирования платформы Какой тип имен может определять WINS по запросу DNS?: ?) Имена доменов ?) Корневые имена доменов ?) Ни один из перечисленных т.к. WINS не работает с DNS ?) Полные доменные имена узлов (FQDN) ?) Имена узлов Вопрос id:87350 Тема/шкала: Реализация дополнительных сетевых сервисов Вам необходимо легализовать (активировать) 100 операционных систем Microsoft Windows 7 на внутреннем сервере предприятия. Для их активации была приобретена volume-лицензия. Каким средством активации Вы воспользуетесь? ?) Воспользуюсь активацией MAK-прокси ?) Активирую все машины Retail-ключом ?) Воспользуюсь KMS-активацией ?) Воспользуюсь независимой MAK-активацией ?) Запущу строку "slmgr.vbs -ato -ipk ключ_активации" на каждом компьютере Вопрос id:87351 Тема/шкала: Active Directory Domain Services Как выбрать следующий вид объектов в оснастке "Active Directory - пользователи и компьютеры"? (требуемый вид представлен на рисунке) ![]() ?) Отредактировать схему на отображение дополнительного вида ?) Выбрать меню Вид, а затем - "...как контейнеры" ?) Выбрать меню Вид, а затем - "дополнительные параметры" ?) Выбрать меню Вид, а затем - Настроить... ?) Нет правильного ответа Вопрос id:87352 Тема/шкала: Реализация основных сетевых сервисов Что произойдет, если выполнить действие, представленное на рисунке?
![]() ?) Будет произведено сжатие диска файловой системой ?) Будет открыто окно, в котором необходимо указать тип файловой системы для дальнейшей работы ?) Будет выполнена команда diskpart ?) Будет открыто окно, в котором будет предложено перераспределить дисковое пространство ?) Будет произведено сжатие диска архиватором Вопрос id:87353 Тема/шкала: Active Directory Domain Services У Вас на предприятии "упал" сервер, который нес роль FSMO. Вам необходимо перенести серверную роль на другой сервер в сети. Из какой утилиты командной строки это можно сделать? ?) fsmo transfer RID to "имя сервера" ?) wdsutil ?) wuau ?) ntdsutil ?) pnputil Вопрос id:87354 Тема/шкала: Общие вопросы администрирования платформы Вы только что изменили групповую политику. Что необходимо сделать, чтобы на конкретной рабочей станции применились изменения? ?) Перезагрузить компьютер пользователя ?) Ничего делать не нужно, т.к. она сразу же применяется на рабочих станциях ?) Выполнить команду gpupdate /force на сервере ?) Перезагрузить сервер ?) Выполнить команду gpupdate /force у пользователя Вопрос id:87355 Тема/шкала: Общие вопросы администрирования платформы Какое количество процессоров установлено на сервере? При ответе на вопрос воспользуйтесь информацией с рисунка ниже. ![]() ?) 7 ?) 1 ?) 6 ?) 4 ?) 2 Вопрос id:87356 Тема/шкала: Общие вопросы администрирования платформы В какой раздел системного реестра записываются параметры компьютера, внесенные при помощи административных шаблонов? ?) HKEY_CLASSES_ROOT ?) HKEY_LOCAL_MACHINE ?) HKEY_CURRENT_USER ?) HKEY_CURRENT_CONFIG ?) HKEY_USERS Вопрос id:87357 Тема/шкала: Реализация дополнительных сетевых сервисов Вы развертываете ОС Windows 7 через сервер WDS. В дистрибутивном общем ресурсе лежит папка "Out-of-Box-Drivers". Для чего она нужна? ?) Для расположения основных драйверов, которые будут установлены программой Windows Setup ?) Для расположения дополнительных драйверов, которые будут использованы Windows при работе ?) Для расположения основных драйверов, которые будут использованы Windows при работе ?) Это хранилище драйверов, туда следует записывать абсолютно все драйвера от оборудования ?) Для расположения дополнительных драйверов, которые будут установлены программой Windows Setup Вопрос id:87358 Тема/шкала: Active Directory Domain Services Вы работаете на Windows Server 2008R2. Вы ошибочно удалили объект из Active Directory. Каким инструментом необходимо воспользоваться для восстановления объекта? ?) Корзиной AD ?) Восстановить объект невозможно ?) Корзиной файлового менеджера ?) Восстановление возможно только через 180 дней ?) Корзиной рабочего стола Вопрос id:87359 Тема/шкала: Active Directory Domain Services В Active Directory, группа компьютеров в одной или нескольких IP-подсетях называется? ?) Пространство ?) Зона ?) Область ?) Сайт ?) Контейнер Вопрос id:87360 Тема/шкала: Active Directory Domain Services Какая команда сбрасывает пароль учетной записи компьютера для контроллера домена, на котором выполняется эта команда? ?) Правильная команда не указана ?) dsmove server /remove ?) netdom resetpwd ?) net user /resetpwd ?) control userpassword /resetpwd Вопрос id:87361 Тема/шкала: Active Directory Domain Services Одно, или несколько доменных деревьев, использующих общую информацию каталога AD, называются: ?) Лес доменов ?) Сайт ?) Домен ?) Подразделение ?) Подсеть Вопрос id:87362 Тема/шкала: Active Directory Domain Services Что необходимо настроить, чтобы деревья AD доверяли друг другу? ?) Транзитивные отношения доверия ?) Организационное подразделение ?) Не транзитивные отношения доверия ?) Объектную модель ?) Делегирование зон Вопрос id:87363 Тема/шкала: Общие вопросы администрирования платформы Вы включаете удаленный рабочий стол. Какой группе пользователей будет предоставлен доступ "по-умолчанию"? ?) Группе пользователей домена ?) Группе локальных администраторов ?) Группе локальных пользователей ?) Группе распределения удаленного рабочего стола ?) Группе безопасности удаленного доступа Вопрос id:87364 Тема/шкала: Реализация основных сетевых сервисов Вам необходимо постоянно производить распространение обновлений на компьютеры-клиенты через службу Windows Update. Установив и настроив сервер WSUS, Вы наблюдаете, что обновления на клиентские компьютеры идут очень медленно. При этом активность всей сети не превышает 10 процентов от номинальной производительности.
Что необходимо настроить (установить дополнительно), чтобы обновления Windows Update были получены быстрее во время простоя сети? ?) Нужно задействовать cлужбу BITS ?) Нужно настроить теневое копирование ?) Ничего не надо настраивать т.к. скорость обновления нельзя увеличить ?) Нужно установить пакет обновлений самостоятельно, скачав его с сайта Microsoft ?) Нужно задействовать и настроить службу QoS Вопрос id:87365 Тема/шкала: Общие вопросы администрирования платформы Какая фирма-производитель процессора у следующего сервера? (для ответа на вопрос руководствуйтесь рисунком ниже)
![]() ?) AMD64 ?) На данном рисунке невозможно определить фирму-производитель ?) Intel ?) AMD ?) NVidia |
Copyright tests.ithead.ru 2013-2026







